Частное лицо
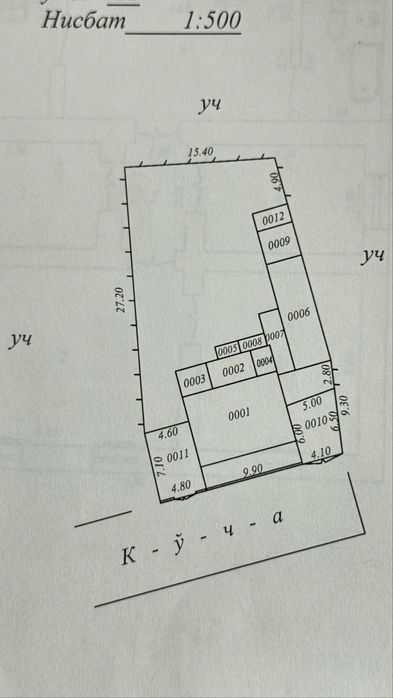
Площадь: 5.80 соток
Назначение: Земля под строительство
Расположение: В городе
Тип участка: Делимый
Коммуникации: Вода, Электричество, Отопление, Газ
Комиссионные: Нет
Описание
Участок 5,8 сотки (примерно 580 кв м) в тихом тупике, рядом с мечетью Ислом ота.
Центральная часть Ташкента, удобный заезд.
На территории: кирпичный дом (4 комнаты, 1 этаж, потолки 3 м), гараж, сарай, хозпостройки. Дом требует ремонта.
Все коммуникации подведены: магистральный газ, центральная вода в доме, электричество, телефон, интернет.
Отличное место для нового строительства — покупаете участок с готовыми коммуникациями, а в существующем доме можно жить на время стройки.
Тихий район, хорошие соседи. В пешей доступности: школа, остановки, рестораны и кафе.
Документы в порядке, кадастр на руках.
$200 000 (торг при реальном интересе)
Продажа напрямую от собственника, БЕЗ ПОСРЕДНИКОВ.
Показ по предварительной записи по номеру +998 88 645-55-01
Центральная часть Ташкента, удобный заезд.
На территории: кирпичный дом (4 комнаты, 1 этаж, потолки 3 м), гараж, сарай, хозпостройки. Дом требует ремонта.
Все коммуникации подведены: магистральный газ, центральная вода в доме, электричество, телефон, интернет.
Отличное место для нового строительства — покупаете участок с готовыми коммуникациями, а в существующем доме можно жить на время стройки.
Тихий район, хорошие соседи. В пешей доступности: школа, остановки, рестораны и кафе.
Документы в порядке, кадастр на руках.
$200 000 (торг при реальном интересе)
Продажа напрямую от собственника, БЕЗ ПОСРЕДНИКОВ.
Показ по предварительной записи по номеру +998 88 645-55-01
ID: 64249262
Связаться с продавцом
xxx xxx xxx
Опубликовано 12 апреля 2026 г.
Участок ~6 соток с домом у мечети Ислом Ота / Без посредников
200 000 у.е.
Местоположение
Ташкент, Яшнабадский район
Ташкентская область