Бизнес
Тип недвижимости: Помещения свободного назначения, Отдельно стоящие здания, Помещения промышленного назначения, Склады
Общая площадь: 3 936 м²
Расположение: Промзона
Участок: 32.50
Этажность дома: 2
Высота потолков: 4
Ремонт: Авторский проект
В помещении есть: Пожарная сигнализация, Видеонаблюдение, Интернет, Круглосуточная охрана, Все коммуникации, Входная группа, Кондиционер
Наличие парковки: Да
Комиссионные: Нет
Описание
Продаётся бывшая швейная фабрика
Тип недвижимости: швейная фабрика, возможно перепрофилирование под склад производство
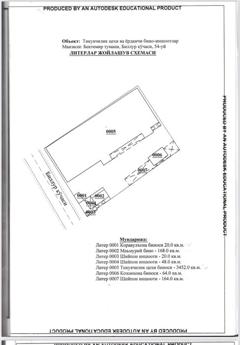
Наименование по кадастру: Тикувчилик цехи ва ёрдамчи бино иншоотлар;
Адрес: г. Ташкент, Бектемир тумани, Биллур кучаси, 54 – уй;
Ориентир: задняя сторона махали за Хокимиятом Бектемирского района;
Месторасположение: промышленная зона;
Подъездные пути: авто, фура;
Железнодорожной ветки: нет;
Параметры земельного участка:
- общая площадь: 32,5 сотки (3250 кв.м.);
- размеры: 48 х 67,7 метров:
- длина фасада: 48 метров;
- форма: ровный прямоугольник;
- рельеф: ровный;
- расположение: не угловое;
- соседи: производственные предприятия, базы, склады;
Параметры строений:
- площадь земли под строениями: 2143 кв.м.;
- общая площадь строений: 3 936 кв.м.;
- количество основных строений: четыре;
- наименования основных строений: Производственное/офисное здание, склад, красильный цех, котельная;
- наименования вспомогательных строений: сторожка, летняя кухня, канализационный отстойник, навесы;
- уровень ремонта: хороший;
Коммуникации:
- газ: имеется, ГРП;
- электричество: имеется, ТП-1000, резервный дизельный генератор мощностью 150 КВт;
- вода: имеется, скважина, 2 штуки, диаметр трубы 320 мм., счётчики установлены;
- центральная канализация: имеется, есть канализационный отстойник;
- отопление: имеется, два котла производства Южная Корея “Navien”;
- охлаждение/кондиционер: имеется, единая система, чилер;
- парогенератор: имеется, производство Россия;
- система вытяжки и вентиляции воздуха: имеется;
- противопожарная система: имеется;
Описание производственного/офисного здания:
- количество этажей: два, подвала нет;
- общая площадь: 3452 кв.м.;
- в здание расположены: административный и дизайнерский офис, швейный, печатный, раскройный, вязальные цеха, склад полотна (вместимость 100 тон), комнаты отдыха, кухня, столовая (на 150 человек) и прочие вспомогательные помещения;
- количество входов в здание: четыре;
- количество лестниц на второй этаж: три;
История объекта недвижимости: Объект недвижимости построен в 2016 году и в 2017 году предприятие начало функционировать. Строение плановое, изначально строилось швейное производство, с «нуля», не реконструкция. Предприятие остановило работу в конце 2023 года. Причина, перенос производства за границу.
Правовые аспекты:
- владелец: юридическое лицо, частная фирма, Узбекистан;
- права на землю: ижара;
- права на строения: мулк (собственность);
- сервитута, запретов, кредитов, судебных споров и прочих ограничений нет;
Условия сделки:
- цена: 1,25 млн $
- уступка: возможно;
- рассрочки: нет;
- обмен: нет;
Тип недвижимости: швейная фабрика, возможно перепрофилирование под склад производство
Наименование по кадастру: Тикувчилик цехи ва ёрдамчи бино иншоотлар;
Адрес: г. Ташкент, Бектемир тумани, Биллур кучаси, 54 – уй;
Ориентир: задняя сторона махали за Хокимиятом Бектемирского района;
Месторасположение: промышленная зона;
Подъездные пути: авто, фура;
Железнодорожной ветки: нет;
Параметры земельного участка:
- общая площадь: 32,5 сотки (3250 кв.м.);
- размеры: 48 х 67,7 метров:
- длина фасада: 48 метров;
- форма: ровный прямоугольник;
- рельеф: ровный;
- расположение: не угловое;
- соседи: производственные предприятия, базы, склады;
Параметры строений:
- площадь земли под строениями: 2143 кв.м.;
- общая площадь строений: 3 936 кв.м.;
- количество основных строений: четыре;
- наименования основных строений: Производственное/офисное здание, склад, красильный цех, котельная;
- наименования вспомогательных строений: сторожка, летняя кухня, канализационный отстойник, навесы;
- уровень ремонта: хороший;
Коммуникации:
- газ: имеется, ГРП;
- электричество: имеется, ТП-1000, резервный дизельный генератор мощностью 150 КВт;
- вода: имеется, скважина, 2 штуки, диаметр трубы 320 мм., счётчики установлены;
- центральная канализация: имеется, есть канализационный отстойник;
- отопление: имеется, два котла производства Южная Корея “Navien”;
- охлаждение/кондиционер: имеется, единая система, чилер;
- парогенератор: имеется, производство Россия;
- система вытяжки и вентиляции воздуха: имеется;
- противопожарная система: имеется;
Описание производственного/офисного здания:
- количество этажей: два, подвала нет;
- общая площадь: 3452 кв.м.;
- в здание расположены: административный и дизайнерский офис, швейный, печатный, раскройный, вязальные цеха, склад полотна (вместимость 100 тон), комнаты отдыха, кухня, столовая (на 150 человек) и прочие вспомогательные помещения;
- количество входов в здание: четыре;
- количество лестниц на второй этаж: три;
История объекта недвижимости: Объект недвижимости построен в 2016 году и в 2017 году предприятие начало функционировать. Строение плановое, изначально строилось швейное производство, с «нуля», не реконструкция. Предприятие остановило работу в конце 2023 года. Причина, перенос производства за границу.
Правовые аспекты:
- владелец: юридическое лицо, частная фирма, Узбекистан;
- права на землю: ижара;
- права на строения: мулк (собственность);
- сервитута, запретов, кредитов, судебных споров и прочих ограничений нет;
Условия сделки:
- цена: 1,25 млн $
- уступка: возможно;
- рассрочки: нет;
- обмен: нет;
ID: 59583005
Связаться с продавцом
xxx xxx xxx
Опубликовано 12 февраля 2026 г.
Швейная фабрика цех производство склад база Бектемир sex sklad baza
1 250 000 у.е.
Договорная
Местоположение
Ташкент, Алмазарский район
Ташкентская область