Бизнес
Количество комнат: 7
Общая площадь: 182 м²
Расположение: В городе
Этажность дома: 1
Меблирован: Нет
Площадь участка: 9.26
Тип дома: Дом
Комиссионные: Нет
Описание
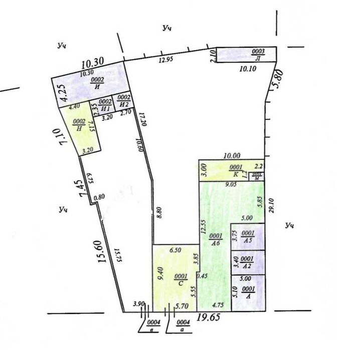
Продается Участок
Район: Мирабадский
Ориентир: Саракулька, Автодорожный факультет
Расположение: махалля Навруз
Комнат: 7 комнат + (4 спальни)
Этажность: 1
Площадь дома: 182 м2
Площадь участка: 9,26 сот
Состояние: среднее
Дополнительная информация:
- фасад 19 м
- коммуникации все подключены
Цена снижена: 360.000 у.е.
«Хотите посмотреть объект или получить консультацию? Свяжитесь со мной»
+99897-733-54-33 | Михаил Кан
Район: Мирабадский
Ориентир: Саракулька, Автодорожный факультет
Расположение: махалля Навруз
Комнат: 7 комнат + (4 спальни)
Этажность: 1
Площадь дома: 182 м2
Площадь участка: 9,26 сот
Состояние: среднее
Дополнительная информация:
- фасад 19 м
- коммуникации все подключены
Цена снижена: 360.000 у.е.
«Хотите посмотреть объект или получить консультацию? Свяжитесь со мной»
+99897-733-54-33 | Михаил Кан
ID: 63197663
Связаться с продавцом
xxx xxx xxx
